+5493404630253
En Venta
CASA EN ESQUINA & TODOS LOS SERVICIOS.
Código: 175459

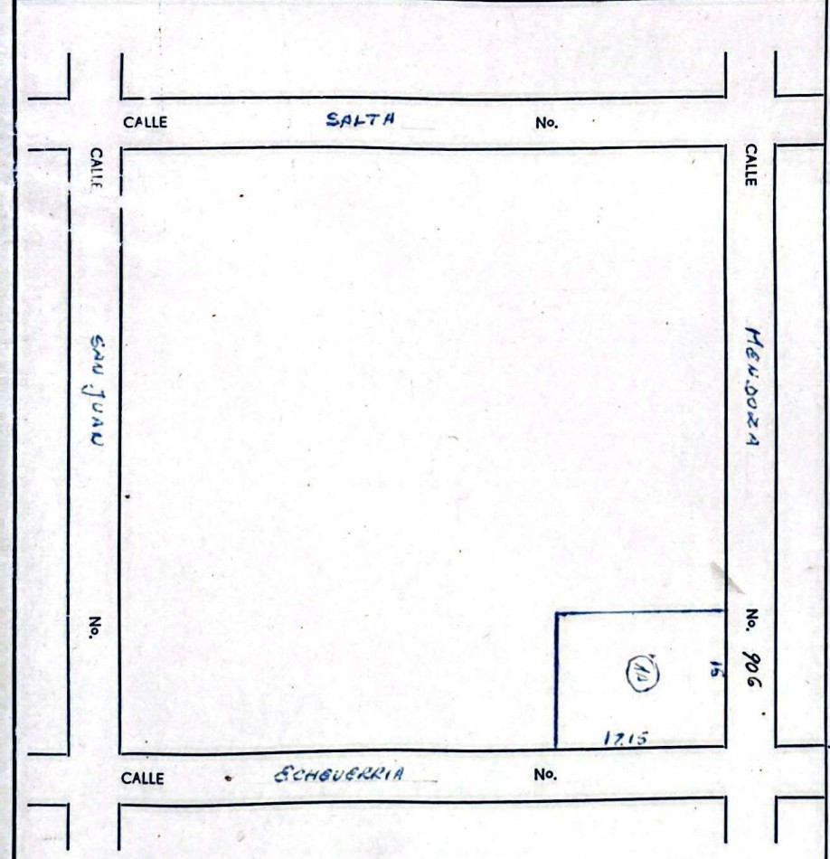
Mendoza 906, S2252GSD Gálvez, Santa Fe, Argentina, Galvez, Santa Fe, Argentina.

USD40.000

Casa
Compartir esta Propiedad

Descripción de la Propiedad

*CONCEPTO:
• CASA EN ESQUINA.

*UBICACIÓN:
• MENDOZA 906.
• ESQUINA ECHEVERRIA

*SUPERFICIES:
• TOTAL: 257,25 m2.
• CUBIERTA: 167 m2.
- 80 m2 operativos.
- Remanente a reciclar.

*MEDIDAS DE LOTE:
• 15 mts. por MENDOZA X 17,15 mts. por ECHEVERRIA.

*COMPOSICIÓN/AMBIENTES:
• Jardín frontal.
• Estar.
• Cocina.
• Lavadero.
• 2 Dormitorios.
• Comedor.
• Baño.
• Entre-piso.
• Cochera.
• Dependencias en dúplex para reciclar.

*SERVICIOS:
• Todos los servicios.

*SE DESTACA:
• Ubicación en esquina.
• Todos los servicios.
• Precio acorde.




Mas detalles
Ver video de la propiedad