+5493404630253
Reservado
LISTA PARA INGRESO! / MACRO-CENTRO / TODOS LOS SERVICIOS.
Código: 194870

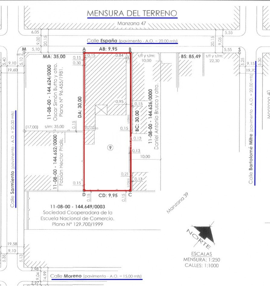
España 725, S2252EIE Gálvez, Santa Fe, Argentina, Galvez, Santa Fe, Argentina.

Consultar Precio
Casa
Compartir esta Propiedad

Descripción de la Propiedad

*CONCEPTO:
• CASA.
• Lista para ingresar.

*UBICACIÓN:
• ESPAÑA 725.
• Entre Mitre y Sarmiento.
• Vecinal del Centro.

*SUPERFICIES:
• TOTAL: 298,50 m2.
• EDIFICADA: 138 m2.

*MEDIDAS DE LOTE:
• 9,95 mts. de Frente x 30 mts. de Fondo.

*COMPOSICIÓN/AMBIENTES:
• Ingreso/Zaguán.
• Living-comedor.
• Baño.
• 2 Dormitorios.
• Cochera.
• Cocina – Comedor diario.
• Patio Jardín con parrillero.
• Lavadero y dependencias de servicio.
• Pasillo de servicio.
• Terraza.

*SERVICIOS:
• Todos los servicios.

*SE DESTACA:
• Ubicación macro-céntrica.
• Medidas y superficies tipo.
• Estado: habitada y habitable.
• Gran potencial de modernización.

Mas detalles
Ver video de la propiedad